🔴
🟡
🔵
🟢

Buon Natale

e

Felice Anno Nuovo!

🎄 🎁 🎅 🎄

Da tutto il team di LB Immobiliare

VENDESI CASA A 6 KM DA SESTOLA
VENDESI CASA A 6 KM DA SESTOLA
VENDESI CASA A 6 KM DA SESTOLA

VENDESI CASA A 6 KM DA SESTOLA

€ 39.500

strada provinciale per pavullo, sestola

In Vendita
2 Camere
1 Bagno
107 m²

Descrizione

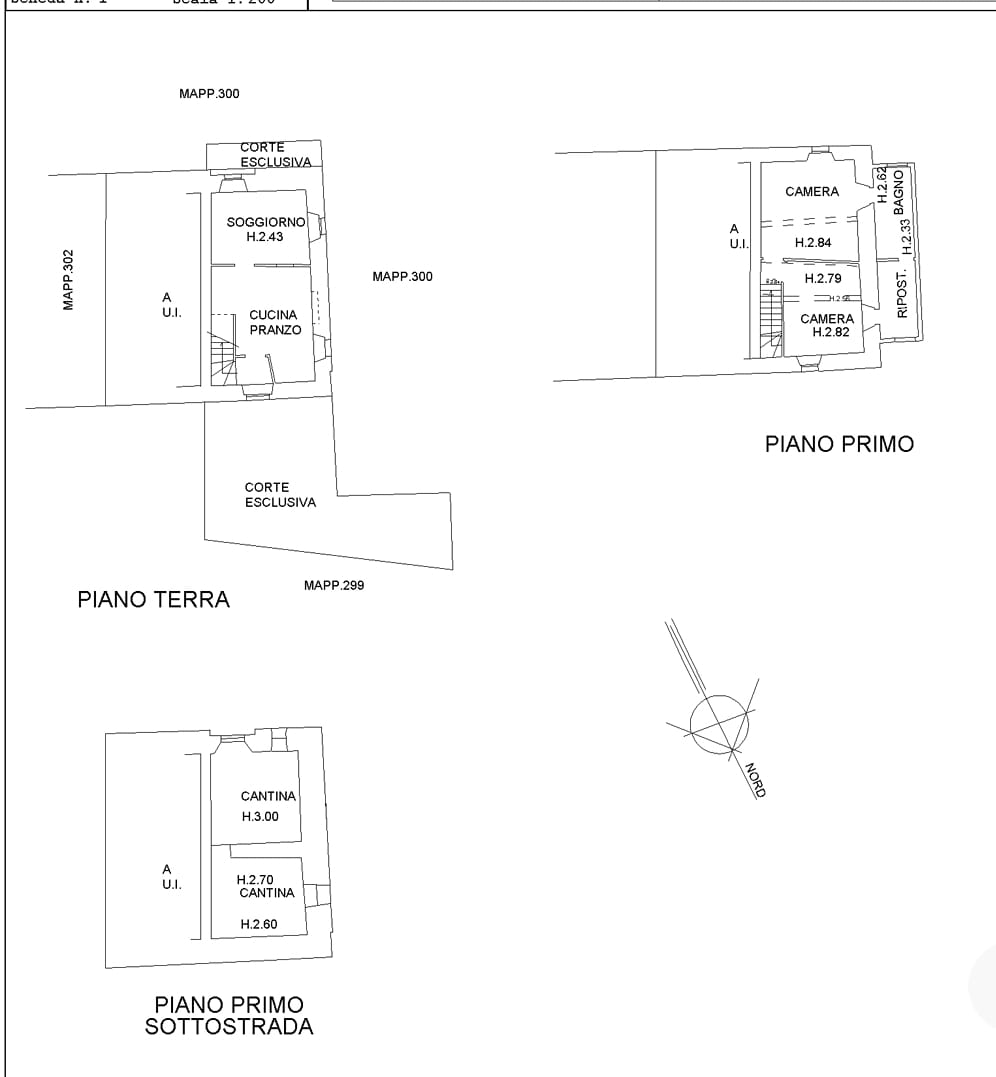
In piccolo borghetto disponiamo di un'immobile con ingresso indipendente libero su tre lati, oltre ad una corte esclusiva di circa 40 mq ed a un terreno di mq 1700 Attualmente la porzione di fabbricato è composta da tre piani: 2 fuori terra e il piano seminterrato. Al piano seminterrato si trovano due cantine con accesso dal fronte sud, mentre dal fronte nord si accede al piano terra dove troviamo un piccolo ingresso che si affaccia sulla zona cucina/pranzo con camino per poi passare al soggiorno; dall’ingresso, tramite la scala, si accede al piano primo dove troviamo due camere da letto collegate alle zone ripostiglio e bagno. L’edificio esternamente ha finitura ad intonaco, infissi e scuri in legno sostituiti nel 2011. La costruzione risale al 1930 e presenta le caratteristiche costruttive dell’epoca e del contesto nel quale si trova, infatti è costituita da muratura portante in laterizio-misto sasso intonacato, solai in legno e manto di copertura in coppi: il coperto è stato rifatto nel 2006.

Caratteristiche Principali

Dettagli Immobile

Tipo Contratto In Vendita
Tipologia
Villa
Camere da letto 2
Bagni 1
Superficie 107 m²
Classe energetica G

Costruzione

Anno costruzione 1930
Ristrutturazione edificio 2006

Servizi e Comfort

Spazi Esterni

Area Cortiliva 40 m²

Planimetrie

Planimetria Piano Terra
Piano Terra

Piano Terra

Clicca per ingrandire

Posizione

strada provinciale per pavullo

sestola, mo 41029

Lara Bergonzoni

Lara Bergonzoni

Agente immobiliare

📞 +39 335 8166781

Disponibile Lun-Ven 9:00-19:00

Immobili che potrebbero interessarti

Scopri altre proprietà selezionate per te nella stessa zona o con caratteristiche simili

Appartamento in vendita in Via della Filanda
Vendita
Appartamento
€ 320.000

Appartamento in vendita in Via della Filanda

Via della Filanda, Bologna
4 2 137 m²
Vedi Dettagli
Appartamento in vendita in Via Francesco Baracca, Saffi, Bologna
Vendita
Appartamento
€ 240.000

Appartamento in vendita in Via Francesco Baracca, Saffi, Bologna

Via Francesco Baracca, Bologna
2 1 68 m²
Vedi Dettagli
Cedesi attività di assistenza informatica – Bologna
Assistenza Informatica
€ 150.000

Cedesi attività di assistenza informatica – Bologna

Bologna, BO
Vedi Dettagli